Melissa’s name will be up for retirement
From CNN Meteorologist Chris Dolce
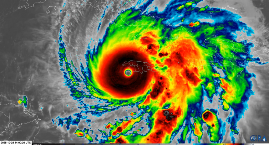
This is likely the last time “Melissa” will be used as Atlantic storm name.
Name lists for tropical storms and hurricanes are reused every six years. The exception is if a storm is so deadly or damaging that its name is retired by a World Meteorological Organization committee the following year. Those individual names are then replaced with new ones beginning with the same letter, while the rest of the six-year rotating list remains the same.
Melissa’s rampage through the Caribbean, including a destructive Category 5 landfall in Jamaica, make it a candidate for retirement.
Melissa was first used as a name in 2007. It replaced “Michelle”, which was retired following Category 4 Hurricane Michelle in the 2001 season.
Last year, three hurricane names were retired: Beryl, Helene and Milton.
credit: edition.cnn.com
Stay ahead with the latest updates!
Join The Podium Media on WhatsApp for real-time news alerts, breaking stories, and exclusive content delivered straight to your phone. Don’t miss a headline — subscribe now!
Chat with Us on WhatsApp

 
			 
                                
                             
 
		
		
		
		
					
					
Как купить Лирику в Николаевке?Что думаете, можно доверять на https://kiski38.ru
? Цены привлекательные, доставка работает. Но хочется узнать про качество на практике.
Где купить Кетамин в Ржанице?Нашел на https://zagadkigotovki.ru
– адекватные отзывы и цены. Доставка работает. Кто-то пробовал их услугами? Интересует качество?
150% бонус на старте добавляет финансовой гибкости. Быстрые выплаты на карту — показатель уважения к игроку. Чтобы совместить эти преимущества, стоит выбирать топовые платформы 2025 года. Обновления и рекомендации публикуются в [url=https://t.me/s/casino_rigas/]список проверенных казино РИГАС[/url]. Комфортная игра начинается с правильного выбора сервиса.